The Scout
Abram's AI · Online 24/7
🤖 AI assistant — not Abram. For personal advice, call (647) 527-6077
Your personal real estate scout
Listings, market insights, and showings — instant.

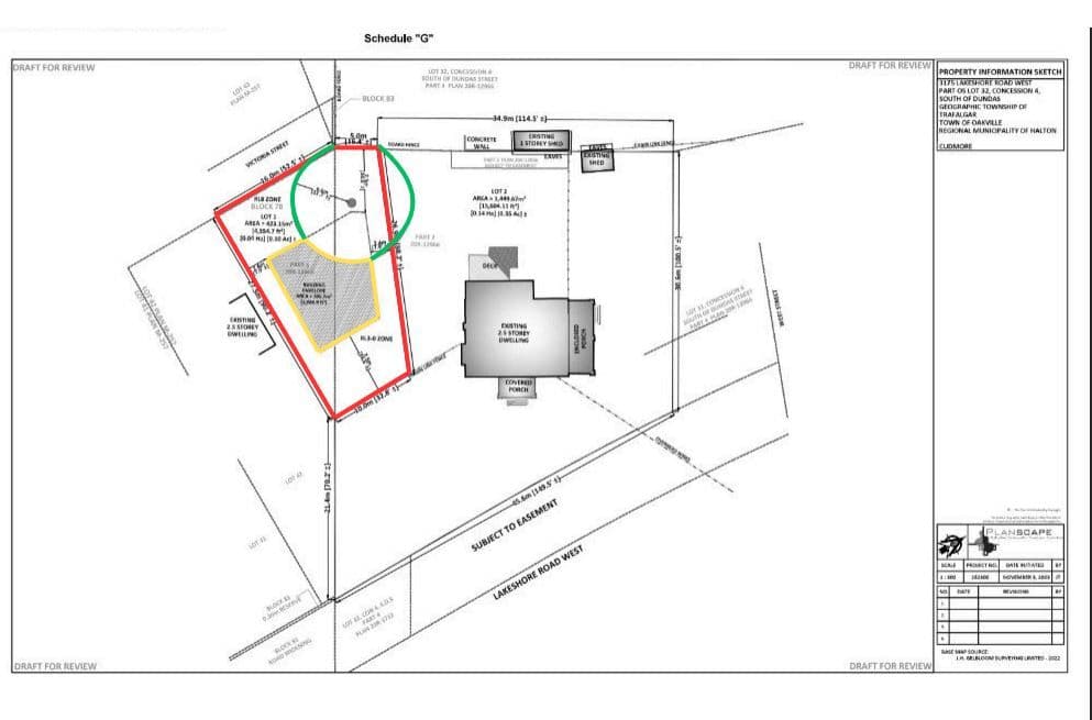
1001 - BR Bronte, Oakville, ON L6L 5X8
$699,000
Prime building lot with 52 ft frontage on a quiet court Victoria Street just steps to the lake and Bronte Village. This 4554 square foot lot is an incredible opportunity to build your detached dream home. Build envelope of 1083.9 square feet per site plan attached. One protected oak tree at the front of the property. Lot is currently unserviced. Take this lot to your architect for your opportunity to build something special! Walking distance to Bronte Beach, Shell Park and extensive woodland and lakefront trails.
The listing data is provided under copyright by the Toronto Regional Real Estate Board (TRREB). The listing data is deemed reliable but is not guaranteed accurate by TRREB. The trademarks MLS®, Multiple Listing Service® and the associated logos are owned by The Canadian Real Estate Association (CREA) and identify the quality of services provided by real estate professionals who are members of CREA.
Property Type
Vacant Land
Bedrooms
0
Bathrooms
0
Kitchens
0
Lot Size
52.5 × 90.3 ft
Facing
South
Possession
Flexible