The Scout
Abram's AI · Online 24/7
🤖 AI assistant — not Abram. For personal advice, call (647) 527-6077
Your personal real estate scout
Listings, market insights, and showings — instant.

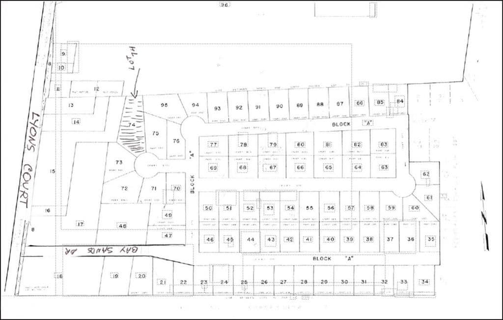
Wasaga Beach, Wasaga Beach, ON L9Z 1V1
$149,000
Vacant treed lot located in the west end of Wasaga Beach, in an area known as Bay Sands. No municipal services at this point in time. Fairly close to the new casino/restaurant. Easy access to Collingwood and Blue Mountains. Buy for future benefits - invest in the growing desirable community of Wasaga Beach. Buyer to assume all future development charges when installation of municipal water and sewers is available.
The listing data is provided under copyright by the Toronto Regional Real Estate Board (TRREB). The listing data is deemed reliable but is not guaranteed accurate by TRREB. The trademarks MLS®, Multiple Listing Service® and the associated logos are owned by The Canadian Real Estate Association (CREA) and identify the quality of services provided by real estate professionals who are members of CREA.